Hero video
Marport Trawl Navigator Pro High Definition Net Sounder
 
Video by ENL Commercial NZ

Marport Trawl Navigator Pro HD Net Sounder

Electronic Navigations Ltd —

High-definition Net Sounder

Marport Trawl Navigator Pro (TN-155-W) is a high-definition net sounder, designed to operate on the trawl headline. It does not replace Trawl Explorer (TE-155-W), it is a new addition to Marport's extensive sensor range. 

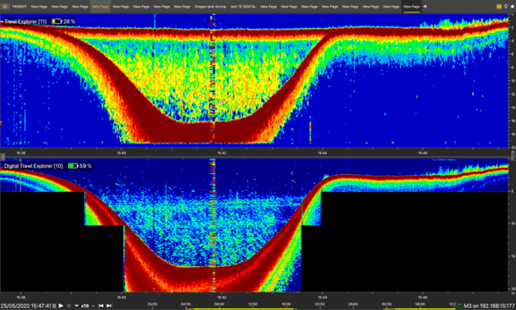
Trawl Navigator Pro (lower window) - Cod/Whitefish — Image by: Marport

Application

Trawl Navigator Pro is suited for demersal trawling and provides unparalleled high definition target detection at short ranges (excellent for low vertical opening headlines/tunnels).

Trawl Navigator Pro - Prawn Trials UK — Image by: Marport

The sensor includes an automatic range mode and can automatically switch to lower ranges of 20, 10 and 5 meters to get sharper pictures. This proves to be particularly useful when fishing close to the bottom.

TN vs TE

Comparing Marport Trawl Explorer (TE) technology with this new Marport Trawl Navigator (TN) technology...

  1. TE 0.3ms vs 0.1ms TN pulse 
  2. TE 3Hz vs 7Hz TN update 
  3. TE 8 Colours vs TN 24 Colours 


Features

In addition, the sensor provides temperature, depth, pitch and roll information to the skipper.

The Trawl Navigator is available in three sizes: 

  1. XXL with 4 batteries for a longer battery life, or
  2. XL with 2 batteries, or
  3. Stubby with 1 battery


Trawl Navigator Pro (lower window) - Shrimp Huvela (Spain) — Image by: Marport


Trawl Navigator Pro - Pollock fish schools can be identified close to the bottom — Image by: Dave James
Trawl Navigator Pro - Auto ranging function — Image by: Marport

You can see from the above image, the range of the sounding is automatically reduced when the sensor gets closer to the bottom, in order to have better quality images. 1. Initial range (80 meters) / 2. Switches to a 20-meter range / 3. Switches to a 10-meter range / 4. Target detection: Pollock school

The sensor can be mounted on the headline, or in the tunnel...

Trawl Navigator Pro - Tunnel Mounted — Image by: Marport
Trawl Navigator Pro - Tunnel Mounted — Image by: Marport
Trawl Navigator Pro - Tunnel Mounted — Image by: Marport


Physical

  • No moving parts
  • Ergonomic housing
  • Good protection
  • Easy access
  • Compact
  • Light weight
Marport Trawl Navigator — Image by: Marport


Unparalleled Echogram and Data updates

Trawl Navigator Pro — Image by: Marport

5-meter range: 

Echogram @0.15 s - temperature, depth, pitch, roll, battery level @5.39 s

10-meter range: 

Echogram @0.29 s - temperature, depth, pitch, roll, battery level @5.92 s

20-meter range: 

Echogram @0.59 s - temperature, depth, pitch, roll, battery level @5.9 s

40-meter range: 

Echogram @0.76 s - temperature, depth, pitch, roll, battery level @3.8 s

80-meter range: 

Echogram @0.81 s - temperature, depth, pitch, roll, battery level @4.07 s

160-meter range: 

Echogram @0.92 s - temperature, depth, pitch, roll, battery level @4.62 s


Depth range: up to 1800 m

Typical battery life 

  • XXL: Up to 96 hours
  • XL: Up to 48 hours
  • Stubby: Up to 24 hours

Battery type: Lithium-Ion

Weight in air (with housing):

  • XL: 15.1 kg
  • Stubby: 10.8 kg

Weight in water (with housing):

  • XL: 3.3 kg
  • Stubby: 3 kg

Compatibility

The Trawl Navigator is compatible with the following versions of Marport's software and equipment.

Mosa2: 02.11.08 or later

Scala2: 02.10.x or later

Mx receiver firmware: 08.04.x or later

Dock: 01.01.00 or later

Contact Dave James for further information: davej@enl.co.nz